Front lawn shared boundary / medium change (Grass to drive)
Discussion
Hello,
A number of weeks ago my neighbour said that he wanted to replace the grass at the front of the property with gravel, fair play to the fella he said that he's getting fed up of the grass as he's getting on in years. We said "ok that's fine, you do what you want with your part, if you do decorative gravel, we'll probably extend our drive up to the shared boundary".
This prompted the question from him, "what do you mean your bit?", I own it. I'm letting you know what I'm planning on doing.
The situation is complicated by the fact we're leasehold and he has "rightly so" informed the leaseholders of the intention. This has kicked off a somewhat involved process involving Land Registry documents, plans of change drawings etc. The neighbour has since decided it's too hard to do and isn't interested in proceeding. However we will as we're a family that will have an increase in cars in the next couple of years as my son becomes old enough to drive.
The fella continues to maintain that the whole grass area is his, he's got a Land Registry doc signed by a solicitor that proves it. I've seen the doc and it just shows a land registry search with some measurements on it and a solicitor seal, it's a photocopy from when he bought the house believing he owns the grass out front.
We are going to go ahead and pave the area upto the shared boundary (no fence or demarcation), There are plans on our local councils website from when the development was built that does show the boundary based on which I've created my own plan of the proposed change.
He says he's going to speak to his Solicitors to block us.
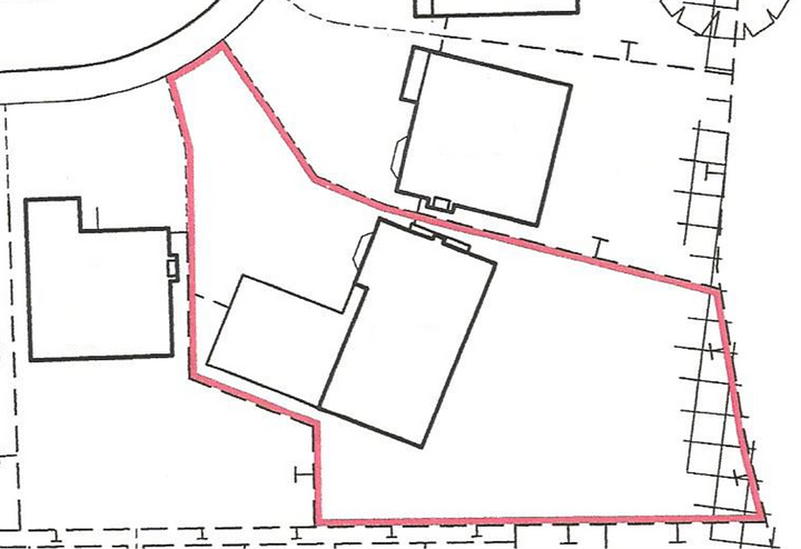
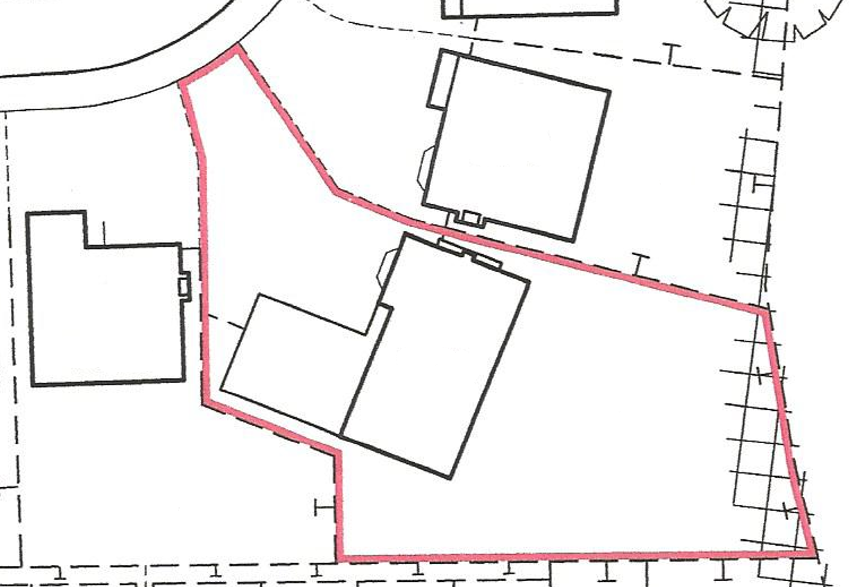
On the diagram we've the red squiggled drive, they the the purple squiggled drive and the shared boundary area is in the middle, the dashed line is the shared boundary as on the original developer plans. The green lined area is the proposed drive extension we are planning on to up the shared boundary.
Thoughts, does he have a leg to stand on, and what should we do ?

A number of weeks ago my neighbour said that he wanted to replace the grass at the front of the property with gravel, fair play to the fella he said that he's getting fed up of the grass as he's getting on in years. We said "ok that's fine, you do what you want with your part, if you do decorative gravel, we'll probably extend our drive up to the shared boundary".
This prompted the question from him, "what do you mean your bit?", I own it. I'm letting you know what I'm planning on doing.
The situation is complicated by the fact we're leasehold and he has "rightly so" informed the leaseholders of the intention. This has kicked off a somewhat involved process involving Land Registry documents, plans of change drawings etc. The neighbour has since decided it's too hard to do and isn't interested in proceeding. However we will as we're a family that will have an increase in cars in the next couple of years as my son becomes old enough to drive.
The fella continues to maintain that the whole grass area is his, he's got a Land Registry doc signed by a solicitor that proves it. I've seen the doc and it just shows a land registry search with some measurements on it and a solicitor seal, it's a photocopy from when he bought the house believing he owns the grass out front.
We are going to go ahead and pave the area upto the shared boundary (no fence or demarcation), There are plans on our local councils website from when the development was built that does show the boundary based on which I've created my own plan of the proposed change.
He says he's going to speak to his Solicitors to block us.
On the diagram we've the red squiggled drive, they the the purple squiggled drive and the shared boundary area is in the middle, the dashed line is the shared boundary as on the original developer plans. The green lined area is the proposed drive extension we are planning on to up the shared boundary.
Thoughts, does he have a leg to stand on, and what should we do ?
Edited by blackscooby on Sunday 19th April 16:13
There's no such thing as a shared AREA , only ONE can own it ... The boundary line is a boundary line.
There maybe an argument if he's maintained it for more than x years (i think 7 on non crown property) he could claim Adverse (correction) possession ( squatters rights ) .

There maybe an argument if he's maintained it for more than x years (i think 7 on non crown property) he could claim Adverse (correction) possession ( squatters rights ) .

Edited by The Three D Mucketeer on Sunday 19th April 17:05
Edited by The Three D Mucketeer on Sunday 19th April 17:37
blackscooby said:
We are going to go ahead and pave the area upto the shared boundary (no fence or demarcation), There are plans on our local councils website from when the development was built that does show the boundary based on which I've created my own plan of the proposed change.
He says he's going to speak to his Solicitors to block us.
On the diagram we've the red squiggled drive, they the the purple squiggled drive and the shared boundary area is in the middle, the dashed line is the shared boundary as on the original developer plans. The green lined area is the proposed drive extension we are planning on to up the shared boundary.
Thoughts, does he have a leg to stand on, and what should we do ?
Him speaking to his solicitor is probably a good thing for you. Solicitor will explain where his land and the boundary actually is…He says he's going to speak to his Solicitors to block us.
On the diagram we've the red squiggled drive, they the the purple squiggled drive and the shared boundary area is in the middle, the dashed line is the shared boundary as on the original developer plans. The green lined area is the proposed drive extension we are planning on to up the shared boundary.
Thoughts, does he have a leg to stand on, and what should we do ?
Adverse possession comes up a bit on PH. It is not straightforward to claim, and assuming he’s not fenced off your land, excluded you, etc etc it’d be easy to defend a spurious claim.
Our last conversation on Friday was he was going to speak to his solicitor... His wife came round on Friday evening, we tried to explain how the title plan and house plans which show the boundary line. but that failed to be understood. Their understanding of the title plan is that "their" grass butts up to our drive... I photocopied the title plan and drew on our drives. Nothing, no understanding...
Bring on his solicitor ! Might shake a bit of understanding into the equation.
He has said previously about I've maintained this grass for n years, I did used to cut it, but his said no his son will cut it.. I've cut the hedges and helped gravel the pointy bit at the end. I'm confident adverse possession could easily be fought off. Problem is he has lets just say more funding that we have to fight anything.. We had a conversation a few weeks ago where he got proper aggressive, I had gone round to help draft up plans etc on my laptop, his wife came round to apologise later that evening.
I fully expect a confrontation IF we get the approval.
Bring on his solicitor ! Might shake a bit of understanding into the equation.
He has said previously about I've maintained this grass for n years, I did used to cut it, but his said no his son will cut it.. I've cut the hedges and helped gravel the pointy bit at the end. I'm confident adverse possession could easily be fought off. Problem is he has lets just say more funding that we have to fight anything.. We had a conversation a few weeks ago where he got proper aggressive, I had gone round to help draft up plans etc on my laptop, his wife came round to apologise later that evening.
I fully expect a confrontation IF we get the approval.
Edited by blackscooby on Sunday 19th April 17:42
I blame these modern estate house builders , repeatedly they create these boundary issues ... because they want to maximise the number of houses and then bugger off leaving issues with the only course of action solicitors and arguments over deeds ... in your case leasehold may be an advantage over freehold because it's for the land owner to resolve ... I would put it their court... not at your expense.
The Three D Mucketeer said:
I blame these modern estate house builders , repeatedly they create these boundary issues ... because they want to maximise the number of houses and then bugger off leaving issues with the only course of action solicitors and arguments over deeds ... in your case leasehold may be an advantage over freehold because it's for the land owner to resolve ... I would put it their court... not at your expense.
ha - as expected they've got a get out in their wording for any approval in respect to surface medium change in their lease saying they will not be involved in any guidance relating to boundary disputes. This is a matter for "our own" legal teams.blackscooby said:
ha - as expected they've got a get out in their wording for any approval in respect to surface medium change in their lease saying they will not be involved in any guidance relating to boundary disputes. This is a matter for "our own" legal teams.
So they don't define the land area you are paying for ? t
ts 
blackscooby said:
He has said previously about I've maintained this grass for n years, I did used to cut it, but his said no his son will cut it.. I've cut the hedges and helped gravel the pointy bit at the end. I'm confident adverse possession could easily be fought off.
You giving permission for his son to cut your grass would indeed seem like an extremely weak basis for a claim (which, if it came to it, his solicitor would tell him). Wouldn’t lose any sleep over it. The Three D Mucketeer said:
I blame these modern estate house builders , repeatedly they create these boundary issues ... because they want to maximise the number of houses and then bugger off leaving issues with the only course of action solicitors and arguments over deeds ... in your case leasehold may be an advantage over freehold because it's for the land owner to resolve ... I would put it their court... not at your expense.
?There will be a transfer with a dimensioned plan somewhere if it was built in the last 30 years
blueg33 said:
The Three D Mucketeer said:
I blame these modern estate house builders , repeatedly they create these boundary issues ... because they want to maximise the number of houses and then bugger off leaving issues with the only course of action solicitors and arguments over deeds ... in your case leasehold may be an advantage over freehold because it's for the land owner to resolve ... I would put it their court... not at your expense.
?There will be a transfer with a dimensioned plan somewhere if it was built in the last 30 years
The Three D Mucketeer said:
There's no such thing as a shared AREA , only ONE can own it ... The boundary line is a boundary line.
There maybe an argument if he's maintained it for more than x years (i think 7 on non crown property) he could claim Adverse (correction) possession ( squatters rights ) .

There definitely is such a thing as a shared area, often described as rights in common(at least in scotland). The OP's situation is not that and his neighbour is a dullard who can't read a map.There maybe an argument if he's maintained it for more than x years (i think 7 on non crown property) he could claim Adverse (correction) possession ( squatters rights ) .

The Three D Mucketeer said:
blueg33 said:
The Three D Mucketeer said:
I blame these modern estate house builders , repeatedly they create these boundary issues ... because they want to maximise the number of houses and then bugger off leaving issues with the only course of action solicitors and arguments over deeds ... in your case leasehold may be an advantage over freehold because it's for the land owner to resolve ... I would put it their court... not at your expense.
?There will be a transfer with a dimensioned plan somewhere if it was built in the last 30 years
blueg33 said:
The Three D Mucketeer said:
blueg33 said:
The Three D Mucketeer said:
I blame these modern estate house builders , repeatedly they create these boundary issues ... because they want to maximise the number of houses and then bugger off leaving issues with the only course of action solicitors and arguments over deeds ... in your case leasehold may be an advantage over freehold because it's for the land owner to resolve ... I would put it their court... not at your expense.
?There will be a transfer with a dimensioned plan somewhere if it was built in the last 30 years

Forum | Homes, Gardens and DIY | Top of Page | What's New | My Stuff


